Презентация, доклад по окружающему миру Родное село 4 класс

Наше родное село!

Слайд 1500-летие
села
Наласа

500-летиесела Наласа

Слайд 2Наше родное село!

Наше родное село!

Слайд 5Эта сторона лесная вечно в памяти жива,
Бархатистым одеялом расстилается трава,
Там ни

холода, ни зноя никогда не знал
народ.
В свой черед подует ветер,
в свой черед и дождь пойдет.
Г. Тукай

Эта сторона лесная вечно в памяти жива,Бархатистым одеялом расстилается трава,Там ни холода, ни зноя никогда не знал

Слайд 6Вахитов Мирзаян Шарипович председатель
колхоза в 1960-1984 гг, заслуженный
работник сельского

хозяйства РСФСР. В его
честь названа центральная улица нашего
села.
Вахитов Мирзаян Шарипович председатель колхоза в 1960-1984 гг, заслуженный работник сельского хозяйства РСФСР. В его честь названа

Слайд 9Родник Нократ

Родник Нократ

Слайд 10Родник Ибрай

Родник Ибрай

Слайд 11Родник здоровья

Родник здоровья

Слайд 12Родник Буралы

Родник Буралы

Слайд 13Родник Рабига

Родник Рабига

Слайд 14Холодный родник

Холодный родник

Слайд 15- Ураз
- Шуралачыгы
- Гусиное
- Атмаклы
- Каршы
Наши озера

- Ураз- Шуралачыгы- Гусиное - Атмаклы- КаршыНаши озера

Слайд 21
«У народа, который забыл свое прошлое, нет будущего»

Ш. Марджани
«У народа, который забыл свое прошлое, нет будущего»

Слайд 22Сабиров Газиз Сабирзянович – единственный живой ветеран ВОВ нашей деревни

Сабиров Газиз Сабирзянович – единственный живой ветеран ВОВ нашей деревни

Слайд 23Тест
1. Сколько километров до города Арска от нашего села?
а)7

б)10 в)9
2.Сколько всего домохозяйств в селе сегодня?
а)229 б)263 в)241
3.Какие полезные ископаемые есть в нашем селе?
А)нефть б)песок в)глина
4.Какая деревня находится на западе от нашего села?
А)Большие Берези б)Качелино в)Нижние Аты
5.Напишите названия улиц нашего села.
6.Сколько всего учеников получают знания в нашей школе?
А)99 б)122 в)115
7.Назовите ветерана ВОВ, живущего в нашем селе? 8. Наш знаменитый спортсмен по татарской национальной борьбе?
9. Продолжите пословицы:
В своем болоте и лягушка поет,...
В родном краю сокол,...
Где кто родится,...
Если народ един — …
За горами хорошо песни петь,…
10. В каком году открыли нашу школу?
а)1975 Б)1980 в)1982
Тест1. Сколько километров до города Арска от нашего села?а)7      б)10	в)92.Сколько всего домохозяйств

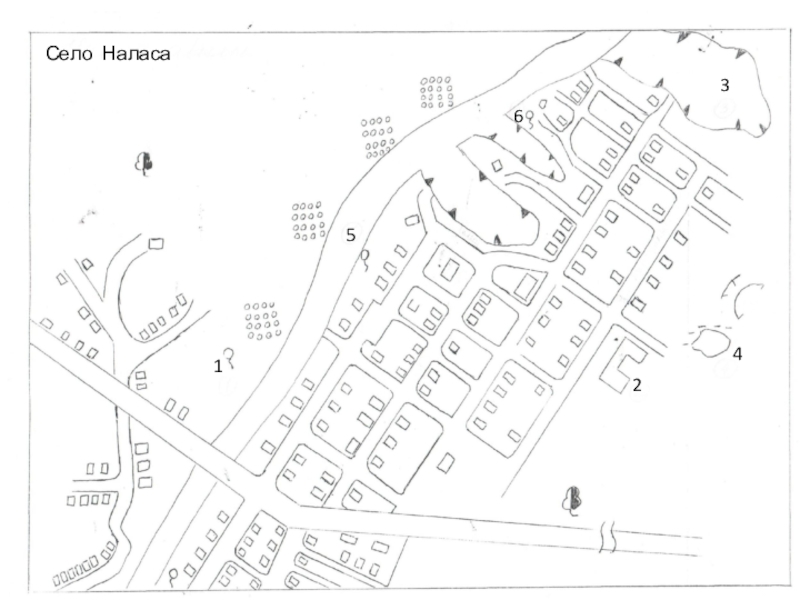
Слайд 24Село Наласа
1
6
5
2
3
4

Село Наласа165234

Что такое shareslide.ru?

Это сайт презентаций, где можно хранить и обмениваться своими презентациями, докладами, проектами, шаблонами в формате PowerPoint с другими пользователями. Мы помогаем школьникам, студентам, учителям, преподавателям хранить и обмениваться учебными материалами.


Для правообладателей

Яндекс.Метрика

Обратная связь

Email: Нажмите что бы посмотреть